黃腰虎頭蜂是虎頭蜂種的一種昆蟲,南方俗稱的虎頭蜂其實就是北方的馬蜂,隸屬于膜翅目、胡峰科,體型較大,色澤鮮艷,因其蜂腰間有黃色環紋,故稱其“黃腰虎頭蜂”。虎頭蜂普遍生性兇猛,常會攻擊人畜,但黃腰虎頭蜂生性偏溫和,一般不會有主動攻擊的行為。

分布范圍
黃腰虎頭蜂常分布于平地至低、中海拔山區的樹叢間或住宅屋檐下筑巢。

形態特征
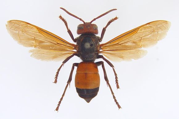
黃腰虎頭蜂是比較好分辨的,腰間前半段有明顯的鮮黃色環紋,后半段為黑色,沒有相近的品種,極易與其他蜂種區別開來。黃腰虎頭蜂一般體長約2-3厘米左右,體長型,頭部呈暗黃色,側肩褐色,胸背板黑色,翅膀狹長,呈褐色或透明;胸分3節,每節生有一對足,在其尾部末端有螫針,與毒腺相連,毒性較強。

生活習性
黃腰虎頭蜂屬于群居性的虎頭蜂,一年四季除冬季外,成蟲常出沒于平地和低海拔山區,穿梭于樹叢和住家附近屋檐的蜂巢之間。黃腰虎頭蜂以青蟲、蜜蜂、花蜜等為食,用樹葉、泥土和分泌物攪拌混合后筑巢,因其生活區域和人類的活動范圍較接近,常出現有被蜇的現象,其蜇人率也是所有虎頭蜂這一分支中最高的。

藥用價值
黃腰虎頭蜂可以用來泡酒,具有壯陽健腎、祛風除濕的作用。
溫馨提示:黃腰虎頭蜂雖然性情在虎頭蜂品種中算比較溫和的,一般不會主動攻擊人畜,但切記不要輕易去招惹它,因其毒性較大,被蜇后引起過敏反應,輕者紅腫發癢,重則可致人中毒身亡。










